Saltar navegación e ir al contenido de la página Saltar navegacóin e ir al menú

  • Contacto
  • Español Español
  • English English
Inicio
Somos biodiversidad
Logo Facebook
Logo Twitter
Logo Youtube
Logo Google Plus

Formulario de búsqueda

Indemares

  • Inicio
  • Proyecto
    • Descripción del proyecto
    • Red Natura 2000
    • Campañas oceanográficas
    • Diario de a bordo
    • Eventos, talleres y seminarios
  • Áreas marinas
    • Descripcion
    • Sistema de cañones submarinos de Avilés
    • Banco de Galicia
    • Volcanes de fango del golfo de Cádiz
    • Sur de Almería - Seco de los Olivos
    • Espacio Marino de Alborán
    • Espacio Marino de Illes Columbretes
    • Sistema de cañones submarinos occidentales del golfo de León
    • Canal de Menorca
    • Espacio Marino del oriente y sur de Lanzarote - Fuerteventura
    • Banco de la Concepción
    • Zona Especial Protección para las Aves - ZEPA
  • Multimedia
    • Galería de imágenes
    • Galería de videos
    • Artículos científicos
    • Presentaciones
    • Publicaciones
    • Informes de áreas
    • Visor de Vertidos
  • Prensa
    • Noticias de INDEMARES
    • Notas de prensa
    • Boletín
  • Conoce el mar
    • Nuestro amigo el mar
    • Sabías que
    • Quiz
    • Navega en un submarino
    • Otros proyectos marinos

Se encuentra usted aquí

Inicio/Proyecto/Diario de a bordo/Campaña Chimeneas de Cádiz - Octubre 2011 - IEO

Campaña Chimeneas de Cádiz - Octubre 2011 - IEO

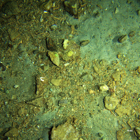
Imagen tomada por el VOR en la cumbre del volcán de fango Gazul (370 metros de profundidad), en la que se observan los fragmentos de costras carbonatadas que son la prueba de la actividad de las bacterias consumidoras de metano expulsado por el volcán © I
  • Campaña Chimeneas de Cádiz - Octubre 2011 - IEO
    • Campaña Chimeneas de Cádiz - Octubre 2011 - IEO # Mensaje 1
    • Campaña Chimeneas de Cádiz - Octubre 2011 - IEO # Mensaje 2
    • Campaña Chimeneas de Cádiz - Octubre 2011 - IEO # Mensaje 3
    • Campaña Chimeneas de Cádiz - Octubre 2011 - IEO # Mensaje 4
    • Campaña Chimeneas de Cádiz - Octubre 2011 - IEO # Mensaje 5
    • Campaña Chimeneas de Cádiz - Octubre 2011 - IEO # Mensaje 6
    • Campaña Chimeneas de Cádiz - Octubre 2011 - IEO # Mensaje 7
    • Campaña Chimeneas de Cádiz - Octubre 2011 - IEO # Mensaje 8
    • Campaña Chimeneas de Cádiz - Octubre 2011 - IEO # Mensaje 9
    • Campaña Chimeneas de Cádiz - Octubre 2011 - IEO # Mensaje 10
    • Campaña Chimeneas de Cádiz - Octubre 2011 - IEO # Mensaje 11
    • Campaña Chimeneas de Cádiz - Octubre 2011 - IEO # Mensaje 12
    • Campaña Chimeneas de Cádiz - Octubre 2011 - IEO # Mensaje 13
Siguiente>
Compartir:
Facebook Google Plus LinkedIn Twitter 

Campaña Chimeneas de Cádiz - Octubre 2011 - IEO

  • Campaña Chimeneas de Cádiz - Octubre 2011 - IEO # Mensaje 1
  • Campaña Chimeneas de Cádiz - Octubre 2011 - IEO # Mensaje 2
  • Campaña Chimeneas de Cádiz - Octubre 2011 - IEO # Mensaje 3
  • Campaña Chimeneas de Cádiz - Octubre 2011 - IEO # Mensaje 4
  • Campaña Chimeneas de Cádiz - Octubre 2011 - IEO # Mensaje 5
  • Campaña Chimeneas de Cádiz - Octubre 2011 - IEO # Mensaje 6
  • Campaña Chimeneas de Cádiz - Octubre 2011 - IEO # Mensaje 7
  • Campaña Chimeneas de Cádiz - Octubre 2011 - IEO # Mensaje 8
  • Campaña Chimeneas de Cádiz - Octubre 2011 - IEO # Mensaje 9
  • Campaña Chimeneas de Cádiz - Octubre 2011 - IEO # Mensaje 10
  • Campaña Chimeneas de Cádiz - Octubre 2011 - IEO # Mensaje 11
  • Campaña Chimeneas de Cádiz - Octubre 2011 - IEO # Mensaje 12
  • Campaña Chimeneas de Cádiz - Octubre 2011 - IEO # Mensaje 13

Mapa

mapa

Suscríbete a nuestro

Newsletter

Últimos tweets

FBiodiversidad
hace 2 años 8 meses
Las rémoras poseen un disco de succión ovalado en la parte superior de la cabeza (como si de una ventosa se tratara… https://t.co/Y7BS7Q6RCS
FBiodiversidad
hace 2 años 8 meses
El proyecto @diversimar ha contribuido al aumento del conocimiento sobre la biodiversidad marina en la costa galleg… https://t.co/WmQZTecd0c
Fundación Biodiversidad
Logo Consejo Superior de Investigaciones Científicas
Logo Instituto Español de Oceanografía
Logo Alnitak
Logo Cemma
Logo Oceana
Logo Sociedad para el Estudio de los Cetáceos en el Archipiélago Canario
Logo SEO/BirdLife (Sociedad Española de Ornitología)
WWF
  • Aviso legal
  • Política de privacidad
  • Accesibilidad
  • Mapa Web
  • Crédito de imágenes